Harga RAM Melejit 500 Persen, Siap-siap PC dan Laptop Baru Jadi Barang Mewah Mulai 2026
Para analis memperingatkan, gelombang kenaikan harga ini akan berimbas langsung pada harga PC dan laptop konsumen mulai 2026.
Kategori berita Teknologi
Para analis memperingatkan, gelombang kenaikan harga ini akan berimbas langsung pada harga PC dan laptop konsumen mulai 2026.
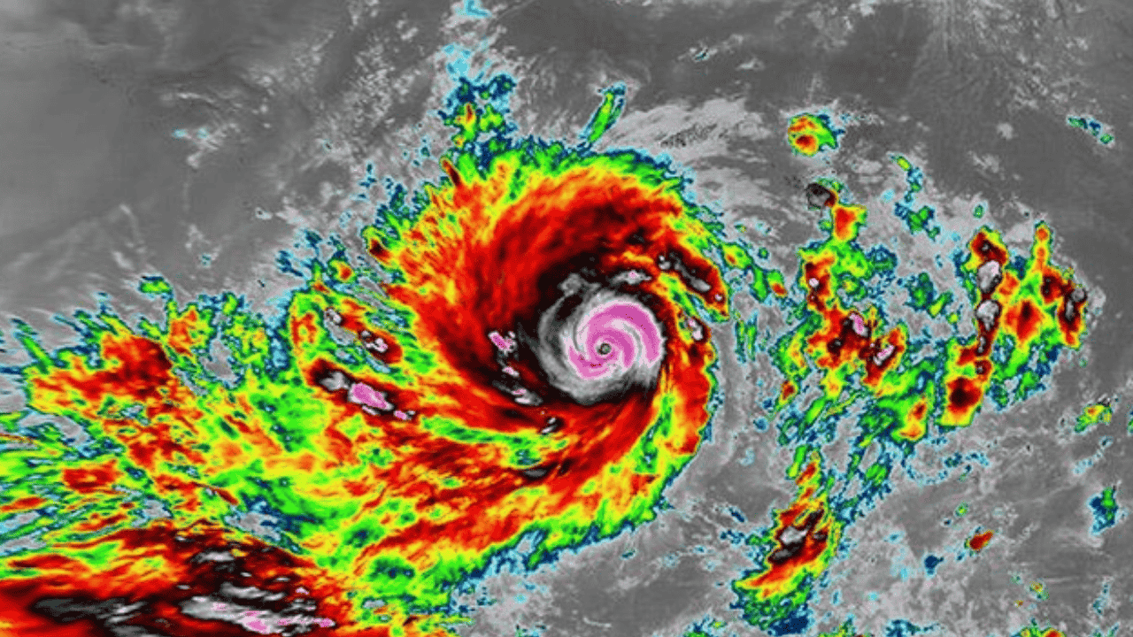
Bibit Siklon Tropis 93S terdeteksi aktif di Samudra Hindia selatan Nusa Tenggara dan mulai menjadi perhatian para peneliti cuaca.
Meta, induk usaha Facebook dan Instagram, memetakan arah besar perkembangan media sosial dan dunia digital di Asia Pasifik, termasuk Indonesia.
Bocoran terbaru soal Samsung Galaxy S26 Ultra membuat penggemar seri Galaxy bersuka cita.
Tahun 2025 diperkirakan akan tercatat sebagai tahun terpanas kedua atau ketiga sepanjang sejarah pencatatan iklim modern, tepat di bawah 2024.
China menguji sistem kereta barang nirkabel baru yang diklaim mampu mengangkut muatan seberat tiga Menara Eiffel lebih sekaligus.
Pakar kebencanaan menegaskan kembali pentingnya larangan membangun infrastruktur di atas sesar aktif pemicu gempa bumi besar.
Fitur ini membuat indikator “online” yang biasanya muncul di bawah nama akun tak lagi tampak bagi pihak lain saat pengguna sedang memakai WhatsApp.
Rangkaian tapak purba ini menunjukkan jalur lalu lintas padat yang dilintasi kawanan Theropoda, dinosaurus predator bercakar tiga yang berjalan dengan dua kaki.
Bibit siklon yang pertama kali terdeteksi pada 7 Desember itu terus menunjukkan penguatan struktur badai.
Posisi ini menyalip Rusia, Ukraina, dan sejumlah negara lain yang selama ini identik dengan aktivitas peretasan.
Fenomena hujan meteor Geminid diprediksi akan memeriahkan langit Indonesia pada akhir pekan ini.
Kebakaran hebat yang melalap gedung kantor Terra Drone Indonesia di kawasan Cempaka Baru, Kemayoran, Jakarta Pusat, Selasa (9/12/2025).